
El Papa León XIV pide a Estados Unidos buscar el diálogo antes de atacar Venezuela
El papa León XIV señaló que, ante la tensión creciente entre Estados Unidos y Venezuela,

El papa León XIV señaló que, ante la tensión creciente entre Estados Unidos y Venezuela,

-El puertorriqueño presentó una demanda federal bajo la Ley RICO, acusando a su exmanejador, a

Investigadores de la Universidad POSTECH, en Corea del Sur, desarrollaron un gel inyectable capaz de

Investigaciones recientes en neurociencia han identificado un hallazgo inquietante: los cerebros de niños expuestos a

La aparición de canas podría ser más que un signo del envejecimiento. Un estudio de

Arqueólogos en Chile revelaron un hallazgo que está redefiniendo el entendimiento del mundo prehispánico: loros

El presidente de Estados Unidos, Donald Trump, encendió nuevamente la discusión bilateral al asegurar que

El papa León XIV expresó su intención de realizar una gira por América Latina, señalando

Un equipo internacional de astrónomos de la Universidad de Ciudad del Cabo detectó una señal

Después de meses de rumores y especulaciones, Pixar Animation Studios ha confirmado oficialmente el regreso

En las últimas horas, se dio a conocer una preocupante noticia, la residencia de la

El encuentro entre Robert De Niro y el Papa León XIV, pese a lo breve

El papa León XIV recibió este martes en el Palacio Apostólico Vaticano al presidente del

¡Vaya notición con la que amanecimos! El Gobierno de Perú acaba de soltar una bomba

De acuerdo con un reporte de NBC News, el gobierno de Estados Unidos evalúa la

Un grupo de perros con pelaje azul fueron descubiertos en las inmediaciones de Chernóbil, en

El futuro llegó al hogar: el robot humanoide NEO HOME ya es una realidad y

Víctor Manuel Álvarez Puga, esposo de Inés Gómez Mont, estaba prófugo de la justicia y

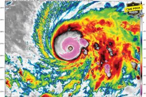
El huracán Melissa alcanzó la categoría 5 la mañana de este lunes, con vientos sostenidos

El presidente de Estados Unidos, Donald Trump, aseguró que grupos criminales están a cargo de

En un hecho que sacude el tablero político de Sudamérica, el presidente electo de Bolivia,

-Acuerdan empresarios, sindicatos y SSEM mantener coordinación para atender extorsión en Edoméx. La extorsión, que

-Durante cinco días y 15 horas de atención, la mandataria mexiquense e integrantes de su

El Gobierno federal anunció la implementación de la estrategia “Apapachos del Bienestar” en el ISSSTE,

El Servicio Meteorológico Nacional estimó que la temporada invernal dejará alrededor de 48 frentes fríos

Un operativo contundente encabezado por la Secretaría de Marina (Semar), en coordinación con el Gabinete

En un operativo estratégico, elementos del Ejército Mexicano lograron el aseguramiento de 70 explosivos de